Up コナラ : 冬芽・芽吹き 作成: 2010-11-03
更新: 2018-12-02


2012-05-20



2011-08-21



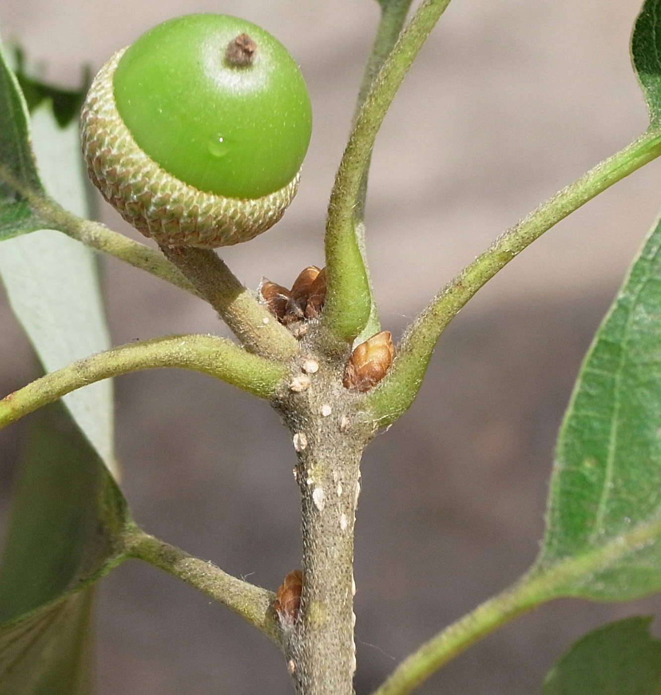
2012-08-26





2010-11-03


2018-12-02
ディスプレイ解像度 102 inch/pixel で,実寸