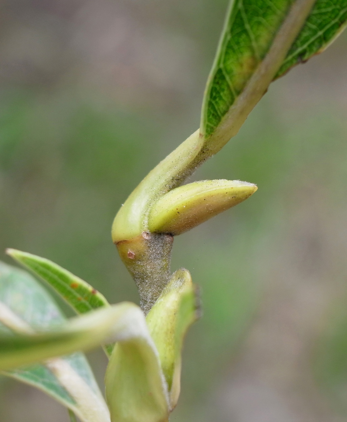
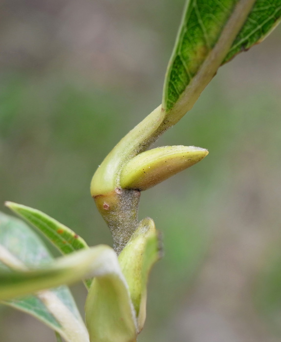
Up エゾノカワヤナギ 09 : 冬芽 作成: 2011-05-11
更新: 2012-03-10


2014-10-16









2012-10-16





2011-12-11












2012-03-10
  
(室内水挿しで,芽吹き)
a:
2012-03-12