Up
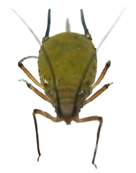
ワタアブラムシ
作成: 2015-06-15
更新: 2015-07-24
分類: カメムシ目 | アブラムシ上科 | アブラムシ科 | Aphis属
2015-06-15
2015-07-24
オオバコ
の花穂の中
参考サイト
Wikipedia
樹木を食べる昆虫、北海道
昆虫エクスプローラ
アブラムシ図鑑
アブラムシ ミニ図鑑
虫ナビ