Up
OδόS}bv (1933)
μ¬: 2024-02-05
XV: 2024-02-06
(ζNbNΕgε\¦j
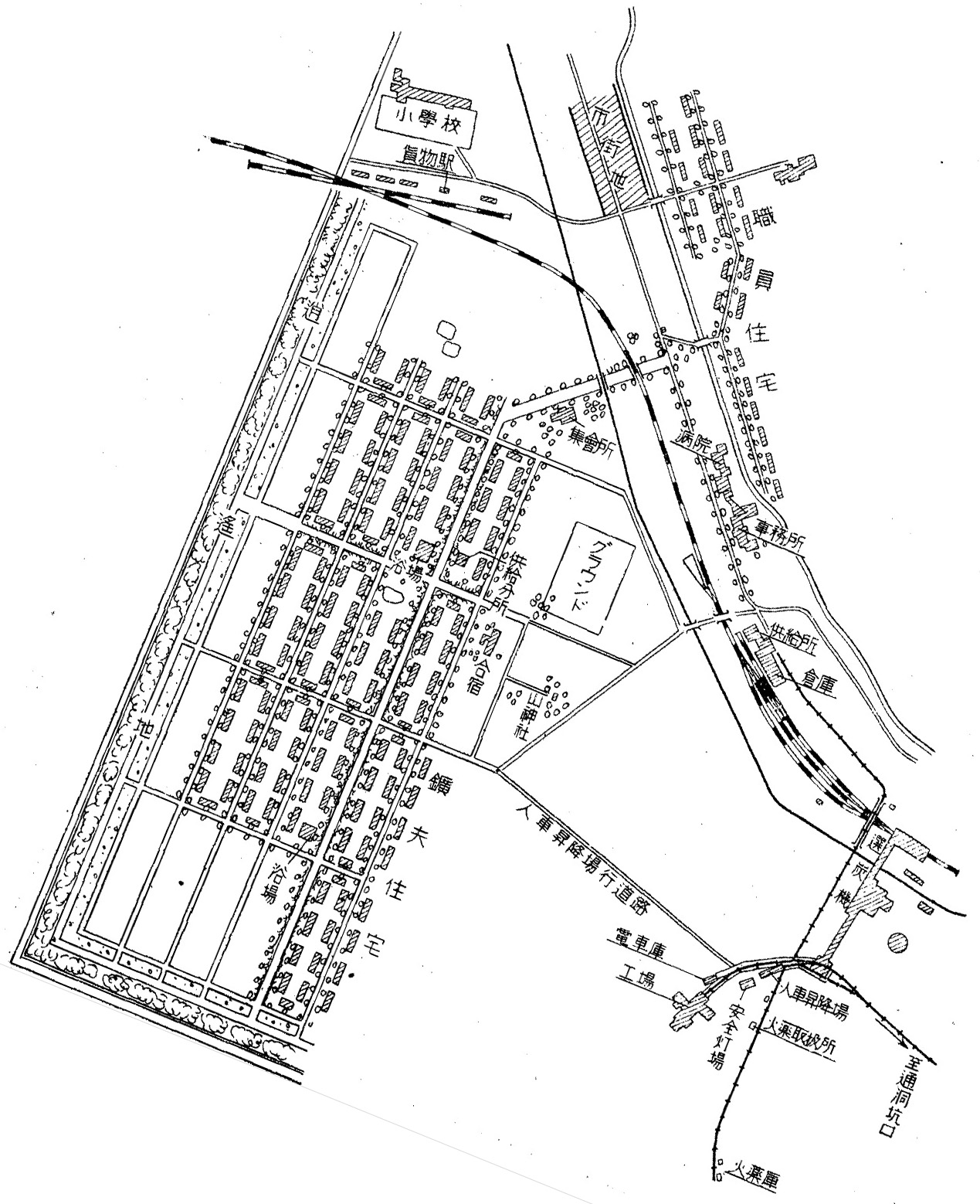
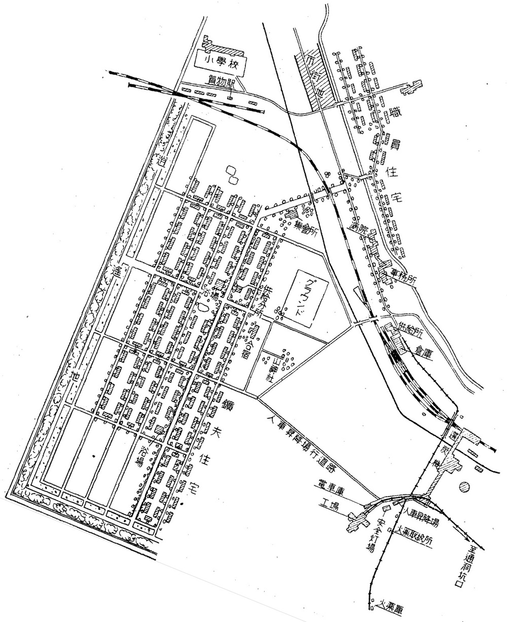
μ (1933), p.905
c (1936), p.521
γΜζΙn}πνΉιF
ψpΆ£
μOYuόSΜTYvκΙAΔv, ϊ{αζΖπ, Vol.49 (No.584), 1933., pp.887-909.