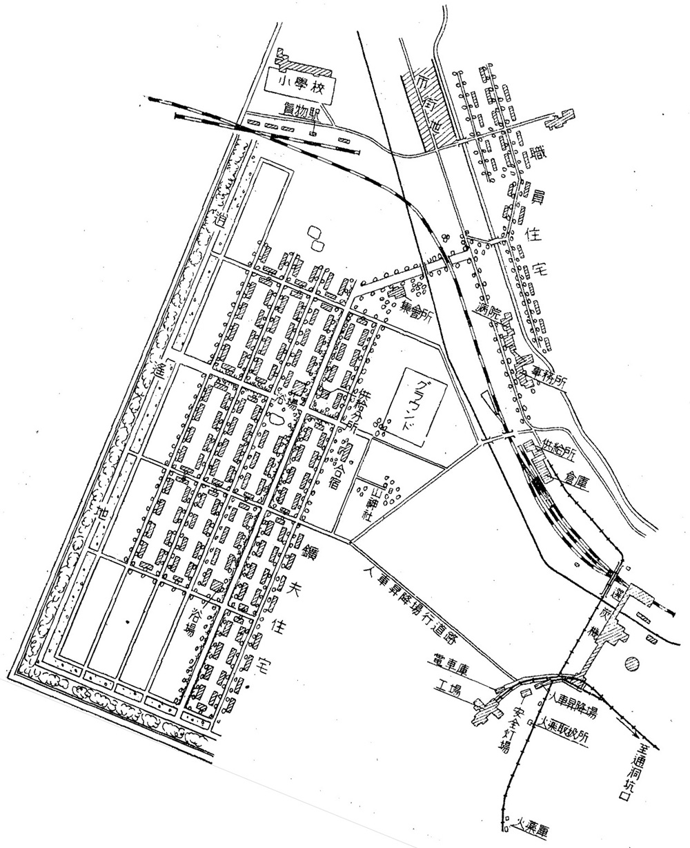
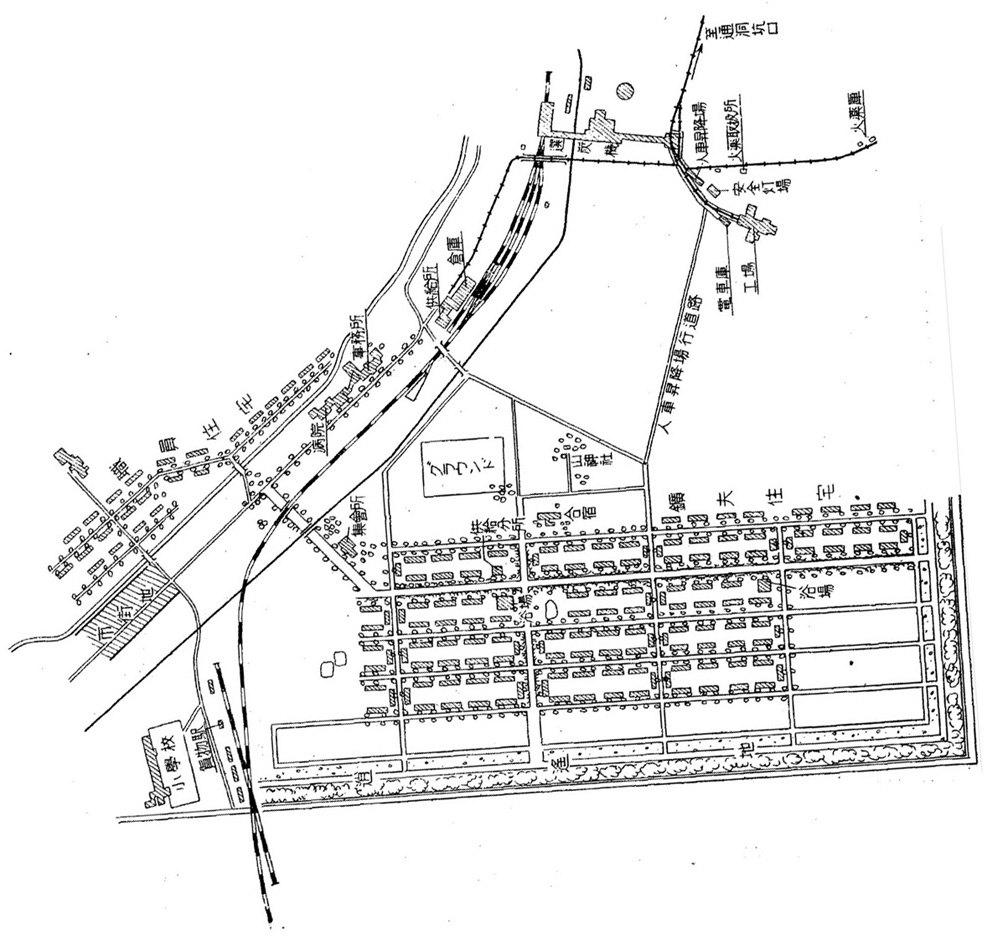
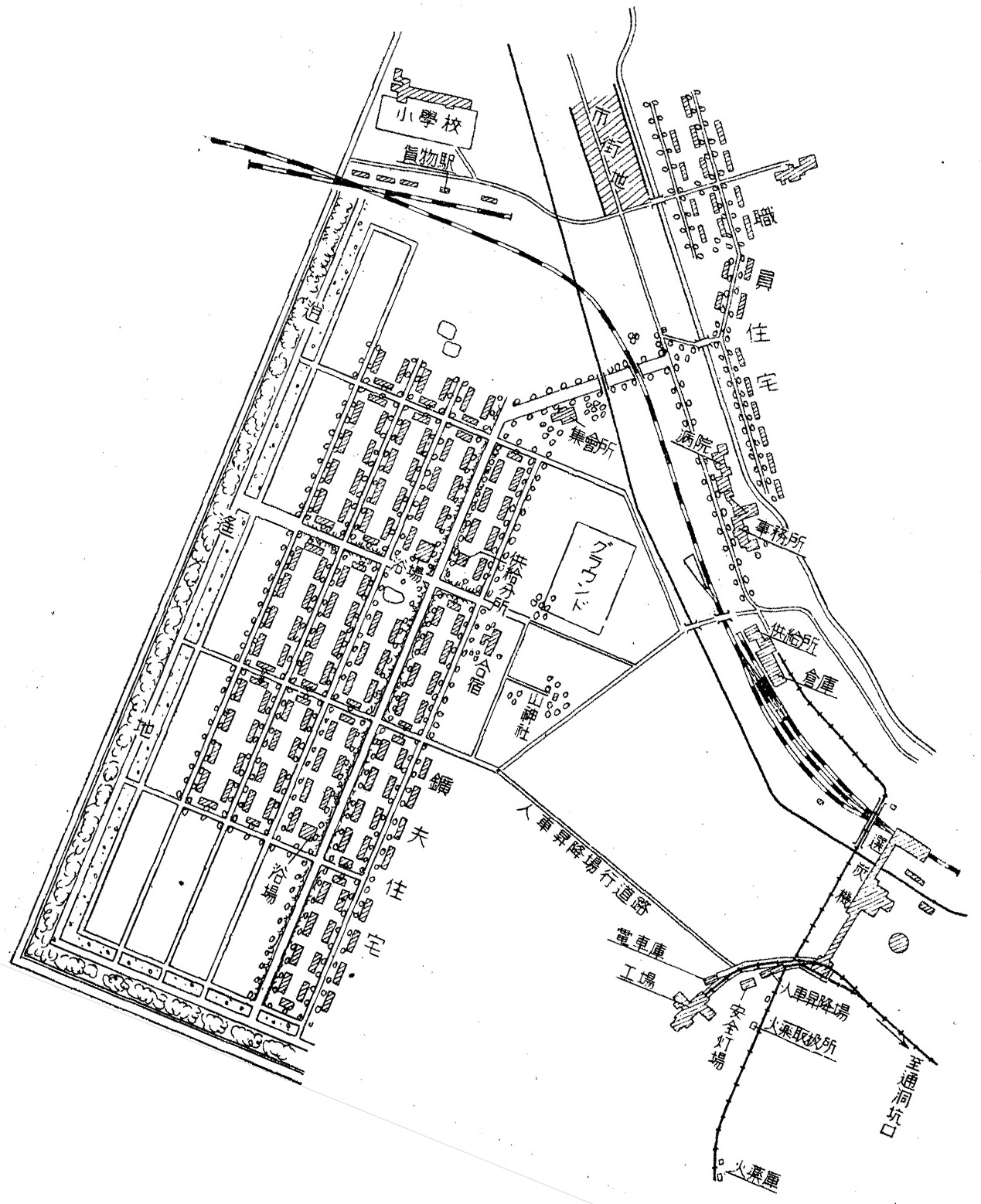
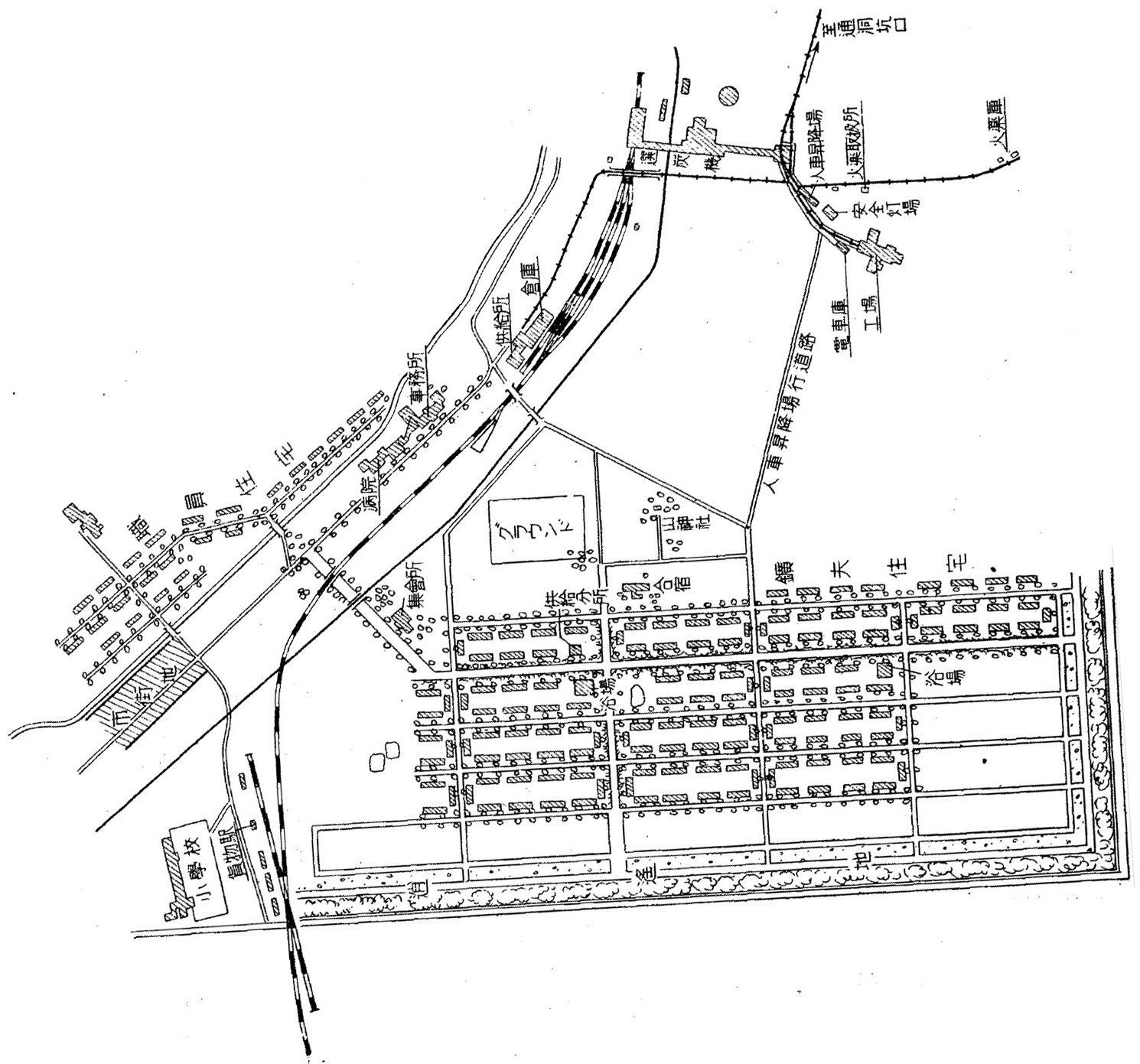
Up ŽOˆδ”ό‰Sƒ}ƒbƒv (1933) μ¬: 2024-02-05
XV: 2024-02-06


(‰ζ‘œƒNƒŠƒbƒN‚ΕŠg‘ε•\ަj

μ“‡ (1933), p.905



•“c (1936), p.521


γ‚Μ‰ζ‘œ‚Ι’n}‚π‡‚ν‚Ή‚ιF




  • ˆψ—p•ΆŒ£
    • μ“‡ŽO˜Yu”ό‰S‚Μ’T’YŒvκ‚ɏA‚āv, “ϊ–{αζ‹Ζ˜πŽ, Vol.49 (No.584), 1933., pp.887-909.